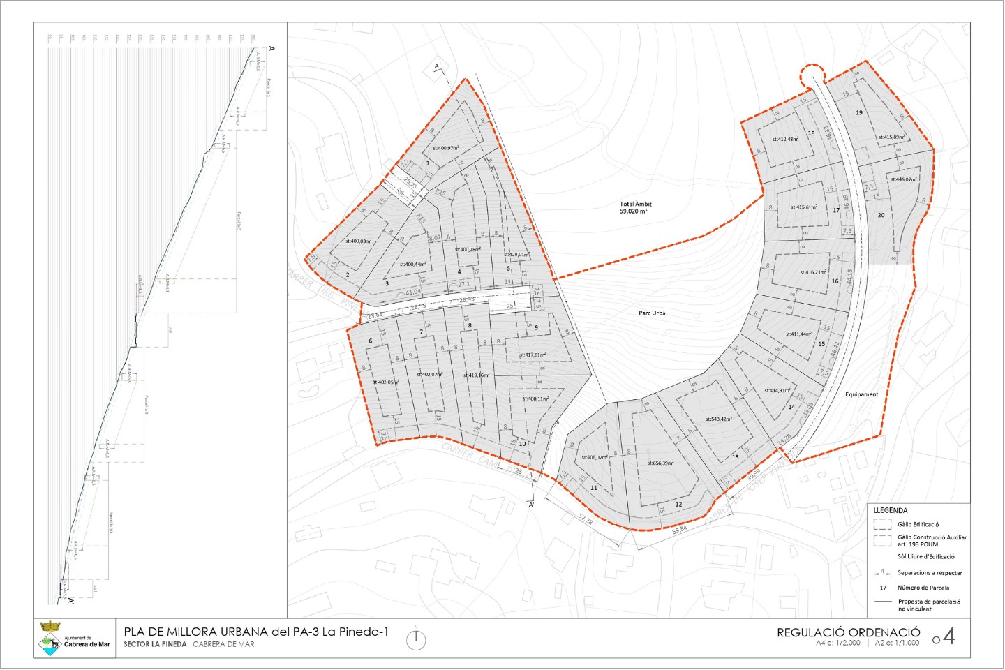
Pla de millora urbana (PMU) i Projecte de reparcel·lació al sector La Pineda de Cabrera de Mar, al Maresme.






Pla de millora urbana (PMU) i Projecte de reparcel·lació al sector La Pineda de Cabrera de Mar, al Maresme.
Promotor:
Junta de Compensació
Aprovació inicial:
2024